最新首页热搜:远洋天萃世纪售楼处电话→Ai热搜24小时售楼中心电话→2025最新房价→楼盘百科详情→售楼处更新发布@最新售楼处中心
扫描到手机,新闻随时看
扫一扫,用手机看文章
更加方便分享给朋友
⚜️{远洋天萃世纪售楼中心&项目最新介绍,详细解答}
⚜️远洋天萃世纪售楼处电话☎☎: 400-992-6967【开发商已认证】📞📞
⚜️远洋天萃世纪营销中心电话☎☎: 400-992-6967【营销中心已认证】📞📞
⚜️远洋天萃世纪售楼中心电话☎☎: 400-992-6967【24小时预约热线】📞📞
⭐本项目暂不接受临时到访,看房请提前预约,可尊享内部特惠!
⭐为您安排楼盘内场专业销售人员一对一接待服务,给您更贴心的看房体验!
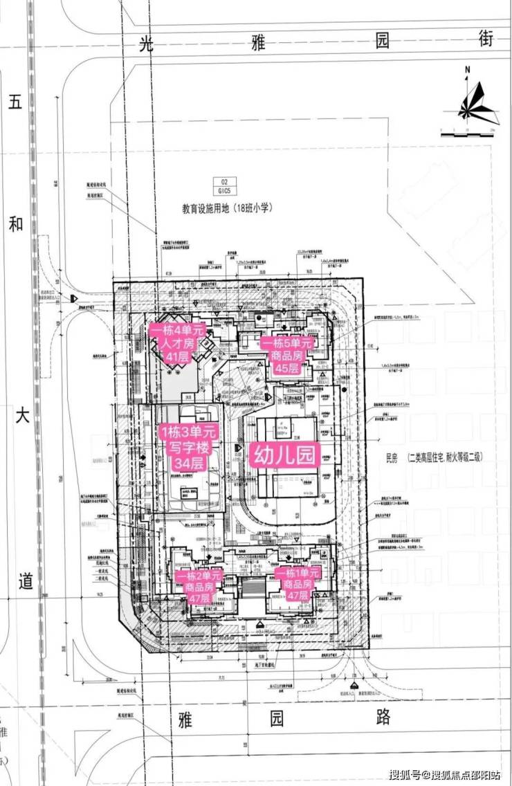
项目由远洋集团打造,位于坂田街道五和大道与光雅园路交汇处东北侧,紧邻地铁10号线光雅园站B出口。总占地面积约1.36万㎡,共由4栋总高44-47层的住宅+1栋34层的办公组成:其中,1栋1、2单元为47层住宅,5单元为45层住宅,约615套住宅(含50套回迁房);1栋4单元为41层人才房,共180套人才房;1栋3单元为34层写字楼;2栋规划为3层幼儿园。
从平面图来看,1、2、5单元住宅均为一层5户的布局,以89㎡刚需户型为主;113㎡分别位于1、2单元,朝北望花园,128㎡位于5单元,朝南望花园,改善首选。
远洋天萃平面图(以实际建成为准)
⚜️远洋天萃世纪售楼处电话☎☎: 400-992-6967【开发商已认证】📞📞
⚜️远洋天萃世纪营销中心电话☎☎: 400-992-6967【营销中心已认证】📞📞
⚜️远洋天萃世纪售楼中心电话☎☎: 400-992-6967【24小时预约热线】📞📞
⭐本项目暂不接受临时到访,看房请提前预约,可尊享内部特惠!
天璞世纪雅园小区2栋楼共分为4个单元,其中商品房3个单元,人才房1个单元41层,还有1栋办公楼、1所幼儿园。小区北边规划有18班小学一所。
目前户型图已出炉:
⚜️远洋天萃世纪售楼处电话☎☎: 400-992-6967【开发商已认证】📞📞
⚜️远洋天萃世纪营销中心电话☎☎: 400-992-6967【营销中心已认证】📞📞
⚜️远洋天萃世纪售楼中心电话☎☎: 400-992-6967【24小时预约热线】📞📞
⭐本项目暂不接受临时到访,看房请提前预约,可尊享内部特惠!
产业集聚沃土 经济活力旺盛
作为世界级电子信息产业集群承载区,坂田街道聚集了华为、康冠等国内外知名企业,拥有614家国家高新技术企业和287家专精特新企业,形成了新一代电子信息、数字与时尚以及跨境电商等支柱行业,区域经济发展展现出了强劲的动力,是经济高质量发展的“高产田”。
距离天萃雅园地铁两站就是中国最高双子塔,双塔荣立,双星闪耀以369米摩天高度,打造中国最高等高双子塔,更是实力和门面形象的升级展示
⚜️远洋天萃世纪售楼处电话☎☎: 400-992-6967【开发商已认证】📞📞
⚜️远洋天萃世纪营销中心电话☎☎: 400-992-6967【营销中心已认证】📞📞
⚜️远洋天萃世纪售楼中心电话☎☎: 400-992-6967【24小时预约热线】📞📞
⭐本项目暂不接受临时到访,看房请提前预约,可尊享内部特惠!
深圳·星河双子塔,作为深圳·星河WORLD升级力作,是深圳唯一享160万㎡大城配套的超高层写字楼。园区耗资60亿元,打造10大类型醇熟配套,一站式解决企业及员工的办公和生活需求。同时,深圳·星河WORLD集产业、商务、居住、教育、购物、休闲等多业态配套的产融新城,规划约75万㎡产业办公空间、产业孵化区、品牌商业区、酒店公寓区、文化艺术区、人才配套区、湖山居住区、生态休闲区等多元业态,构筑“产城、产融、产居、产教”四位一体的产业全生态圈,实现“生产、生活、生态”全面融合,致力企业间联盟共赢,区域内业态互补,并让每一极产业核心跨界联合,资源交互,驱动城市经济腾跃。
项目周边配套情况:
交通方面,真正的地铁口项目,楼下就是10号线光雅园站B出口,,地理位置非常不错,3站福田、6站岗厦北,1站五和换乘5号线2站抵达深圳北
⚜️远洋天萃世纪售楼处电话☎☎: 400-992-6967【开发商已认证】📞📞
⚜️远洋天萃世纪营销中心电话☎☎: 400-992-6967【营销中心已认证】📞📞
⚜️远洋天萃世纪售楼中心电话☎☎: 400-992-6967【24小时预约热线】📞📞
小学学区划分在,科学高中五和实验学校,中学学区划分在坂田实验学校初中部,扬美实验学校初中部,深圳实验坂田校区初中部,科学高中五和实验学校初中部。
其中龙岗排名前三的深圳实验坂田校区,校区和分校是完全不同的管理方式,分校是独立的组织,校区是由总部管理的。深圳实验学校坂田校区为六轨54个班的九年一贯制公办学校。学校总占地面积4.2万㎡,建筑面积2.8万㎡,运动场面积1.5万㎡,规划学位2430个,现有教工197人。学校教育教学设施按省一级学校标准建设,功能场馆齐全,设备设施先进。深实验坂田2023中考成绩:最高分585分,570以上23人;560分以上55人;550分以上93人。
⚜️远洋天萃世纪售楼处电话☎☎: 400-992-6967【开发商已认证】📞📞
⚜️远洋天萃世纪营销中心电话☎☎: 400-992-6967【营销中心已认证】📞📞
⚜️远洋天萃世纪售楼中心电话☎☎: 400-992-6967【24小时预约热线】📞📞
⭐本项目暂不接受临时到访,看房请提前预约,可尊享内部特惠!
不过深实验坂田学校积分也比较高,据说这边目前是大学区制度,学区范围比较广所以积分也比较高,2023年入取积分高达103.15分,按目前龙岗入学积分规则学区内购房加龙岗户籍就有100分,入住一年加分只有0.6分,103.15那就是得住5年02个月才能上,除了这个学校外还有几所学校基本都能上,有坂田实验,科学高中五和实验以及云端学校(书香实验学校)这所学校也是市属学校据说是今年9月开学
商业方面:1公里范围内有8号仓奥特莱斯及阳光湾畔、五和商业广场等小型商场,距离雅宝星河wordCoCopapk1.6公里,距离天虹商场坂田店1.8公里。
文娱:方面项目所处位置即是深圳的“中心湖区“,沿着项目周边的4大自然生态湖泊环伺周围,包含民治水库、民乐水库、雅宝水库、南坑水库。不仅是深圳最稠密的湖区所在地,更拥有塘朗山和银湖山两大山林资源
⚜️远洋天萃世纪
⚜️远洋天萃世纪售楼处24小时电话: 400-992-6967【☎☎售楼处已认证】📞📞
⚜️远洋天萃世纪售楼中心24小时电话: 400-992-6967【☎☎售楼中心已认证】📞📞
⚜️24小时均可来电话预约销售顾问,专业一对一热情服务让您用专业眼光去购房!
⚜️注意:本项目不收任何费用,售楼中心〢欢迎来电咨询〢
声明:本文由入驻焦点开放平台的作者撰写,除焦点官方账号外,观点仅代表作者本人,不代表焦点立场。
