【远洋天萃世纪】售楼处电话-欢迎您@【远洋天萃世纪】楼盘详情
扫描到手机,新闻随时看
扫一扫,用手机看文章
更加方便分享给朋友
✅ 远洋天萃世纪✅
✅ 远洋天萃世纪售楼处电话☎✅:400-873-0112 ✅
✅ 远洋天萃世纪营销中心电话☎✅:400-873-0112✅
温馨提示:本项目采用预约制,过来营销中心参观样板间请记得提前拨打开发商楼盘售楼处400热线电话在线预约,感谢您的配合!
✅ 远洋天萃世纪开发商售楼处咨询/官方看房电话☎ 400-873-0112(中介勿扰)
楼盘项目全面介绍:含开盘消息、交房时间、楼盘详情、房价、户型、详情、得房率、售楼处地址、首页网站、销售中心、楼盘地址、户型图、交通、备案价、项目配套、营销中心、开发商、周边配套等详情咨询
温馨提示:看房请务必电话提前预约,避免临时无人接待,感谢您的配合!
开发商承诺:一对一专属开发商销售服务,尊享开发商内部优惠服务!
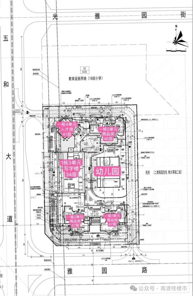
远洋·天萃世纪雅园:项目原名【天璞世纪雅园】,位于龙岗区坂田街道,总占地面积约1.36万㎡,共由4栋总高44-47层的住宅+1栋34层的办公组成:其中,1栋1、2单元为47层住宅,5单元为45层住宅,约615套住宅(含50套回迁房);1栋4单元为41层人才房,共180套人才房;1栋3单元为34层写字楼;2栋规划为3层幼儿园。
【项目基础信息】
【开发商】深圳市华兴展房地产开发有限公司
【物业类型】70年住宅
【规模】占地面积约13614.8㎡,建筑面积约118470㎡
【绿化率】40%
【规划套数】商品房615套(可售),180套人才房(不可售)
【产品】建面约89-128㎡3至4房
【梯户比】3梯5户
【车位数】694个
【交付标准】品质精装
项目核心价值
福田北3公里,深圳几何中心,去哪都近
坂田——深圳第二街道办,GDP超2252亿
足以超越CBD的万亿世界级ICT产业集群
干道纵横,3个红绿灯到福田
楼下10号线,1站5号线,3站地铁到福田
1站五和超级枢纽,畅行大湾区
罕见低密片区,优于龙华,不逊福田
14.3平方公里银湖山公园,三大水库
“魔法科高”赋能,好学校无需轮候
无风无雨连地铁,不排队的真TOD
交通配套
真正的地铁口,楼下就是10号线光雅园站B出口,1站到五和枢纽站可换乘5号地铁线/深大城际,3站可到深圳北站、3站到福田、4站到南山。
五和超级枢纽是大湾区的重要交通节点,这里汇聚了5号和10号两条地铁线,并连接了深惠、深大、广深中轴等三条城际轨道线路,预计将来客流量将在深圳排前三。
深大城际(深圳段)起自深圳市宝安机场T4站,途经宝安区、龙华区、龙岗区,终至坪山区聚龙站,线路全长约69.2km,设计时速为160km/h。全线设地下站11座,分别为:机场T4、机场东、黄麻布、石岩中心、龙胜、民治北、五和、白泥坑、大运、坪山、聚龙。
商业配套
自带社区底商,北侧约160米就是五和商业广场、宝银商业广场,西侧约650米就是8号仓奥特莱斯,南侧距离约1.4公里坐地铁2站可到星河COCO PARK,距离天虹商场坂田店1.8公里。
教育配套
自带1所幼儿园,北侧地块规划有1所18班制幼儿园。
小学学区划分在科学高中五和实验学校,中学学区划分在坂田实验学校初中部、扬美实验学校初中部、深圳实验坂田校区初中部、科学高中五和实验学校初中部。
深圳科学高中作为深圳教育界的佼佼者,其附属的五和实验学校教育质量还是有保障的。
生态配套
周边有4大自然生态湖泊周围,包含民治水库、民乐水库、雅宝水库、南坑水库。不仅是深圳最稠密的湖区所在地,更拥有塘朗山和银湖山两大山林资源。
出门2公里就是14.3平方公里的银湖山郊野公园,还有省5号绿道加山海连城鲲鹏径,五园连通串联梅林山、笔架山、莲花山、中心公园。
户型鉴赏
✅ 远洋天萃世纪售楼处电话☎✅:400-873-0112 ✅
✅ 远洋天萃世纪营销中心电话☎✅:400-873-0112✅
A1户型-约89㎡3房2厅2卫
户型分布在1、2、5单元,阳台南向、东向、西向均有选择。
竖厅格局,客厅3.5米开间,LDKB一体化,S墙设计预留冰箱卡槽位,客厅连接次卧出5.9米长的大阳台,主卧双面飘窗,次卧270°转角飘窗,全屋6面飘窗,U型厨房,卫生间干湿分离。
A2户型-约89㎡3房2厅2卫
户型分布在1、2、5单元,阳台南向、东向、西向均有选择。
竖厅格局,客厅3.5米开间,LDKB一体化,S墙设计预留冰箱卡槽位,客厅连接次卧出5.9米长的大阳台,次卧270°转角飘窗,对比A1户型少一面飘窗,U型厨房,卫生间干湿分离。
B户型-约110㎡4房2厅2卫
户型分布在1、2单元,竖厅南北通透格局。
进门户玄关,客厅4.2米开间,客厅连接次卧出6.5米长的大阳台,主卧大套间设计,全屋9处飘窗,U型厨房,卫生间干湿分离。
C户型-约128㎡4房2厅2卫
户型分布在5单元,横厅南北通透格局。
进门户玄关,客餐厅6.5米开间,LDKB一体化,客厅连接次卧出6.1米长的大阳台,主卧大套间设计,全屋8处飘窗,U型厨房,卫生间干湿分离。
✅ 远洋天萃世纪售楼处电话☎✅:400-873-0112 ✅
✅ 远洋天萃世纪营销中心电话☎✅:400-873-0112✅
远洋天萃世纪开发商售楼处电话:400-873-0112【预约热线】丨详细解答丨在售户型图丨项目介绍丨在售房源丨周边配套丨VR看房丨楼盘图丨沙盘图丨位置图丨配套图丨售楼处销售1V1讲解
温馨提示:因近期本项目营销中心来访的看房客户较多,过来营销中心参观样板间采取预约制,为不耽误您的行程,过来营销中心现场看房请务必记得提前拨打售楼处400免费热线来电进行预约一下,预约看房价格还可以享受更多开发商内部优惠,名额有限千万不要错过,感谢您对我们工作的支持和配合,在此恭候您大驾光临实地品鉴。
免责声明:以上展示的图文资料可能有部分来自于网络,一切信息以最终在现场签署的购房合同为准,如图文内容无意中侵犯某方权益的话,请及时联系我们将配合处理。
声明:本文由入驻焦点开放平台的作者撰写,除焦点官方账号外,观点仅代表作者本人,不代表焦点立场。
