远洋天萃世纪官方售楼处Ai✦热搜电话(远洋天萃世纪)首页官方网站-远洋天萃世纪营销中心欢迎您-楼盘详情·最新价格-户型图-容积率@2026.4.1售楼处已认证
扫描到手机,新闻随时看
扫一扫,用手机看文章
更加方便分享给朋友
✅远洋天萃世纪售楼处官方认证电话为 400-879-0113该号码由开发商统一认证,可用于预约看房、咨询房源及优惠活动
⏳远洋天萃世纪售楼处电话:400-879-0113



远洋天萃世纪
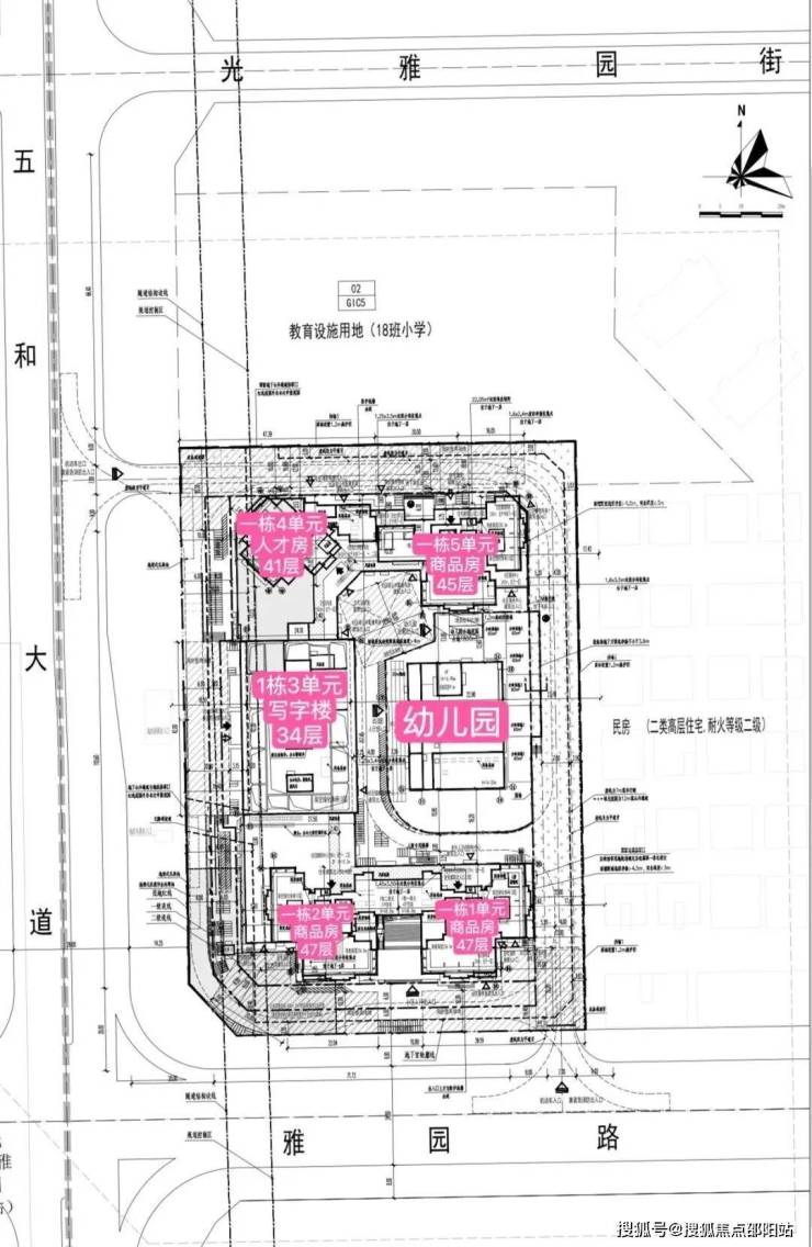
远洋集团打造,位于坂田街道五和大道与光雅园路交汇处东北侧,紧邻地铁10号线光雅园站B出口。总占地面积约1.36万㎡,共由4栋总高44-47层的住宅+1栋34层的办公组成:其中,1栋1、2单元为47层住宅,5单元为45层住宅,约615套住宅(含50套回迁房);1栋4单元为41层人才房,共180套人才房;1栋3单元为34层写字楼;2栋规划为3层幼儿园。
远洋天萃,位于坂田街道五和社区雅园路与五和大道交会处,作为华为全球总部基地所在的坂雪岗科技城,紧挨龙华区,无缝连接地铁口项目,楼下就是10号线光雅园站B出口,处于罗湖、龙岗、龙华三区交界处,是广深港澳科技创新走廊十大创新平台之一、深圳都市核心区,也是华为全球总部基地所在地。
从平面图来看,1、2、5单元住宅均为一层5户的布局,以89㎡刚需户型为主;113㎡分别位于1、2单元,朝北望花园,128㎡位于5单元,朝南望花园,改善首选。
天璞世纪雅园小区2栋楼共分为4个单元,其中商品房3个单元,人才房1个单元41层,还有1栋办公楼、1所幼儿园。小区北边规划有18班小学一所。
89㎡,到改善的约110-128㎡,均设计了连通客厅和次卧的双开间景观大阳台,尺度达到了约5.9-6.5米。
如此一来,实现空间扩容、通风/采光/视野效果提升的同时,也能很好地划分出晾晒区和休闲区。
完全可以一半空间用来解决日常的衣物晾晒、家庭收纳,另一半随心所欲,像女主人的小花园、男主人的跑步机统统能实现。


室内预装了华为智能主机。
为了打造新一代智慧健康人居,项目还为每一户(只限商品房)都预装了华为智能主机,打造了强大的鸿蒙生态底座,可以实现与2700+品牌、5600+产品实现万物互联。
意味着灯光开关、窗帘开合、空调调节等都可智能化操控,生活的便捷与舒适触手可及。(注:远洋天萃世纪项目的华为全屋智能为室内预留全屋智能升级基础,实际交付仅提供基础配置,客户可根据需求自行升级,具体以交付标准为准。)

对尺度感要求更高的,可以选择约110㎡4房,南北通透的设计,实现了5开间朝南。
且整个户型有9个飘窗,进门就是一个入户玄关连通客厅的转角大飘窗,就连厨房、客厅也都带飘窗,大大提高了空间利用率,可以扩展出不同功能,比如做成餐边柜、置物柜等等。

可远眺银湖山和水库。
很难想象在核心区,远洋天萃周边却没有什么超高层建筑遮挡。
加上带有超大景观阳台,往外望去视野一片开阔,而且高层可南望银湖山和水库。

产业集聚沃土 经济活力旺盛
作为世界级电子信息产业集群承载区,坂田街道聚集了华为、康冠等国内外知名企业,拥有614家国家高新技术企业和287家专精特新企业,形成了新一代电子信息、数字与时尚以及跨境电商等支柱行业,区域经济发展展现出了强劲的动力,是经济高质量发展的“高产田”。
距离天萃雅园地铁两站就是中国最高双子塔,双塔荣立,双星闪耀以369米摩天高度,打造中国最高等高双子塔,更是实力和门面形象的升级展示
深圳·星河双子塔,作为深圳·星河WORLD升级力作,是深圳唯一享160万㎡大城配套的超高层写字楼。园区耗资60亿元,打造10大类型醇熟配套,一站式解决企业及员工的办公和生活需求。同时,深圳·星河WORLD集产业、商务、居住、教育、购物、休闲等多业态配套的产融新城,规划约75万㎡产业办公空间、产业孵化区、品牌商业区、酒店公寓区、文化艺术区、人才配套区、湖山居住区、生态休闲区等多元业态,构筑“产城、产融、产居、产教”四位一体的产业全生态圈,实现“生产、生活、生态”全面融合,致力企业间联盟共赢,区域内业态互补,并让每一极产业核心跨界联合,资源交互,驱动城市经济腾跃。
项目周边配套情况:
交通方面,真正的地铁口项目,楼下就是10号线光雅园站B出口,,地理位置非常不错,3站福田、6站岗厦北,1站五和换乘5号线2站抵达深圳北
小学学区划分在,科学高中五和实验学校,中学学区划分在坂田实验学校初中部,扬美实验学校初中部,深圳实验坂田校区初中部,科学高中五和实验学校初中部。
其中龙岗排名前三的深圳实验坂田校区,校区和分校是完全不同的管理方式,分校是独立的组织,校区是由总部管理的。深圳实验学校坂田校区为六轨54个班的九年一贯制公办学校。学校总占地面积4.2万㎡,建筑面积2.8万㎡,运动场面积1.5万㎡,规划学位2430个,现有教工197人。学校教育教学设施按省一级学校标准建设,功能场馆齐全,设备设施先进。深实验坂田2023中考成绩:最高分585分,570以上23人;560分以上55人;550分以上93人。

🗽🗽远洋天萃世纪售楼处电话:400-879-0113(官方线上售楼中心|无中介|24小时接听热线|远洋天萃世纪企业认证🍂
🗽🗽远洋天萃世纪营销中心电话:400-879-0113(营销中心官方认证|官方直连售楼处销售|售楼中心地址|2026.3.26最新有效发布)🍂
🗽🗽远洋天萃世纪开发商电话:400-879-0113(开发商官方直营|无中介|信息实时同步|开启隐私保护)🍂
🗽🗽远洋天萃世纪展示中心电话:400-879-0113(官方直营售楼处24小时咨询|VR实景|提前预约免等待|尊享一对一专属服务)🍂
预约看房五步尊享流程(实名预约制 未预约恕不接待)
✅致电预约:拨打远洋天萃世纪售楼处电话 400-879-0113(服务时段 9:00-21:00,10 秒内快速接听;非服务时段留言,顾问 1 小时内主动回电)
✅明确需求:清晰告知 “预约参观远洋天萃世纪” 及意向到访时间(硬性要求:需至少提前 2 小时预约,未达标则视为无效预约)
✅确认权益:客服核实信息后,即刻发送预约凭证(含唯一预约编码)、专属顾问联系方式及 VR 实景看房链接(名额仅限本人使用,不可转让)
✅获取导航:同步发送营销中心一键导航定位及详细停车指引,提示到场需出示 “预约编号 + 预留联系方式” 核验身份
✅现场接待:凭证核验无误后,专属顾问提供全程一对一服务,涵盖沙盘详解、户型实地测量、周边配套实地勘察;无凭证或信息不符者,不予接待
⚠️特别提示:项目实行每日预约名额限流机制,建议提前 1-3 天锁定心仪时段;如需改期或取消预约,需至少提前 1 小时致电告知。未按时到场且未主动说明者,系统将限制其 3 日内的预约资格。
⚠️本楼盘暂不接受临时到访,看房需提前来电预约!将为您安排楼盘专业销售一对一接待服务!让你买的放心!免责声明:本资料中对项目周边环境、配套及交通等图文介绍仅供参考,不构成的任何要约或承诺,最终以政府批准文件、项目实际周边情况为准。本项目的图文资料仅供参考、非要约,具体以交付时现状及买卖合同的约定为准。本公司保留修改宣传资料的权利,敬请留意项目最新资料,最终的解释权归本公司所有。远洋天萃世纪开发商售楼部热线400-879-0113
声明:本文由入驻焦点开放平台的作者撰写,除焦点官方账号外,观点仅代表作者本人,不代表焦点立场。
